Skip links

Petition# 2024-077 Sandy Porter Meeting #2

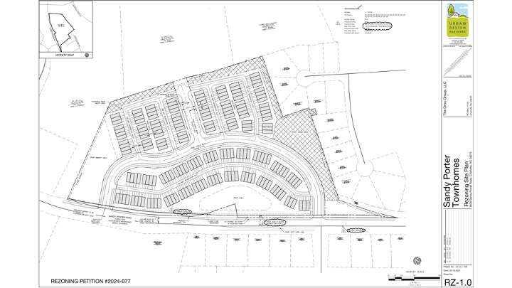
Urban Design Partners is assisting The Drox Group, LLC (the “Petitioner”) with a Conditional Rezoning Petition in the City of Charlotte to rezone an approximately 15.6-acre site (the “Site”) located at the 3636 Sandy Porter Road from the N1-A zoning district to the N2-A zoning district (Parcel’s ID 201-021-32, 201-021-04, 201-021-33, 201-021-05, 201-021-06, and 201-021-07). The proposed rezoning will be to accommodate the development of multi-family attached, townhome dwellings.

Leave a comment

Explore
Drag